1. Introducción
La cuenca del Valle Superior del Magdalena (VSM) es una de las cuencas sedimentarias más importantes de Colombia, esta cuenta con una extensión de cocina de aproximadamente 3192 km2 con un gran contenido de yacimientos carbonatados de origen marino presentes en la formación Loma Gorda las cual es una de las principales rocas generadoras en el sistema petrolífero de la cuenca [1].
Gracias al aumento en la exploración de hidrocarburos en Colombia, las reservas actuales de crudo alcanzan los 2039 millones de barriles lo que se traduce en 7.6 años de explotación de petróleo y 3.164 gigapies cúbicos de reservas de gas comercial que corresponde a 8 años de producción [2], por lo cual es de vital importancia continuar con la exploración convencional y no convencional en las cuencas colombianas ya que las reservas de crudo y gas siguen siendo limitadas lo que pone en riesgo la autosuficiencia energética y la generación de ingresos para el país. Además de potencializar la transición energética a partir de los yacimientos de gas.
Estos estudios son de gran importancia con el fin de conocer y explorar nuevos prospectos de yacimientos carbonatados, ya que los yacimientos convencionales de tipo detrítico son los más desarrollados en Colombia, y avanzar en la exploración de estos a través de estudios geológicos pertinentes que fortalecen el conocimiento de las cuencas petrolíferas del país.
Las formaciones carbonatadas con potencial de yacimiento están concentradas en el cretácico en denominado grupo Villeta [1] denominado también Hondita y Loma Gorda [3] en dichas formaciones se han avanzado en estudios de tipo geoquímicos, paleontológicos, geofísicos y geología pura [4-7] sin embargo, en el campo diagenético las investigaciones han sido mínimas en los campos de la catodoluminicencia y microtermometría.
Dentro de los estudios diagenéticos para caracterizar rocas carbonatadas se encuentra los análisis de inclusiones fluidas (IF) que ayudan a determinar desde temperaturas de formación hasta salinidades [8], la cual es muy importante para identificar la historia térmica de las formaciones y determinar la ventana de generación de hidrocarburos.
Siendo la microtermometría la técnica con la que se toman las mediciones, en yacimientos carbonatados se han hecho diversos estudios de este tipo [9-11].
A partir de la Microtermometría, es posible interpretar los diferentes eventos diagenéticos que ocurrieron durante la formación de los minerales, ya que con esta se caracterizan los fluidos hidrotermales de formación que se encuentran dentro de las inclusiones fluidas mediante los parámetros obtenidos como la temperatura y la salinidad del fluido en el momento de su entrampamiento [12]. Las temperaturas que se obtienen con esta técnica son: la temperatura de homogenización (Th) es aquella en la que dos fases distintas de una inclusión se transforman en una fase única, la temperatura de nuclearización (Tn) se evidencia cuando se congela el líquido dentro de la inclusión fluida, la temperatura eutéctica (Te) es aquella en la que se empieza a descongelar el líquido dentro de la inclusión y finalmente la temperatura de fusión final o melting (Tm) mediante las cuales se determina la composición de los fluidos atrapados y su salinidad [8,13].

Fuente: Modificado de Ferreira, 2001.
Figura 1 Localización del área de investigación (línea roja punteada).
En Colombia el estudio de inclusiones fluidas se ha utilizado generalmente para la exploración de yacimientos minerales [12,14-17] Y en el campo de los yacimientos carbonatados el análisis en la fm. Loma Gorda [18,19]
Para el área de estudio se planteó el estudio de inclusiones fluidas y análisis de microtermometría en la formación Loma Gorda en sector las Brisas, Huila Colombia.
1.1. Localización
El sector estudiado se encuentra ubicado en la subcuenca de Neiva en la cuenca del Valle Superior del Magdalena (VSM) en el sector Las Brisas (Quebrada la Guagua), en el municipio de Palermo en el departamento del Huila, correspondiente a la plancha geológica No. 323 [20] (ver Fig. 1).
1.2. Contexto geológico
La cuenca del Valle Superior del Magdalena es una depresión alargada entre las cordilleras Central y Oriental que se extiende desde Pitalito (Huila) hasta Honda (Tolima), con una extensión aproximada de 400 km y alrededor de 20.000 km² [21]. La cuenca está distribuida a lo largo de 5 departamentos: Huila, Tolima, Cundinamarca, Cauca y Putumayo (Mocoa), cuyos límites están bien definidos al norte por el Cinturón Plegado de Girardot (GFB); al noreste con el Sistema de Fallas Bituima-La Salina (B.S.F.S.), al oeste con la Cordillera Central (CC) y al sureste por el Sistema de Fallas Algeciras-Garzón (A.G.F.S.) [22].
Análisis geoquímicos realizados en el Grupo Villeta de la cuenca del VSM (formaciones Hondita y Loma Gorda), en especial la formación Tetuán y parte de la formación Bambucá, indican que el contenido de materia orgánica (TOC) varía entre el 2% y 12% de kerógeno es tipo III, los cuales son muy significativos para la generación de hidrocarburos [23].
La formación Loma Gorda objeto de estudio, se ha descrito como una secuencia del Coniciano [24] en la cual se han divido 3 segmentos de base a techo, el primero son intercalaciones de lodolitas gris a negro, limolitas silíceas (chert) de color negro, calizas micríticas y esparíticas, capas de fosforita y arenisca de grano muy fino con lentes calcáreos y algo fosfóricos. El segundo segmento está conformado por areniscas de grano fino, de color blanco, con laminación delgada no paralela. Y el segmento tres, consta de lodolitas físiles muy alteradas. Se determinó que la formación varía de espesor entre 30 y 50 m en la región [20].
En el área de estudio se describió la formación Loma Gorda en la Quebrada la Guagua tomando muestras carbonatadas, las cuales se agruparon en los 4 niveles calcáreos reconocidos, pertenecientes a los segmentos 1 y 3 del levantamiento estratigráfico de [20] como se observa en la columna estratigráfica levantada (ver Fig 2).
2. Metodología
Para el estudio de inclusiones fluidas de la zona de investigación se realizó en primer lugar un riguroso trabajo de campo y selección de muestras de mano, las cuales se procesaron para el análisis petrográfico. Y posteriormente se prepararon secciones gruesas doblemente pulidas (100-120 μm) para el análisis de inclusiones fluidas mediante microtermometría.

Fuente: Modificado de Ferreira, 2001.
Figura 2 Sección estratigráfica de la formación Loma Gorda en la Quebrada la Guagua (zona de estudio).
Las mediciones de temperatura de homogeneización (Th) de las IF se realizaron previamente a la etapa de congelación, con el propósito de observar el movimiento de las inclusiones fluidas a causa de su tamaño reducido y su comportamiento metaestable. Posteriormente se enfriaron las IF y se midieron las temperaturas de nuclearización (Tn), eutéctica (Te) y de fusión del hielo (Tm).
Se realizaron los cálculos termodinámicos con la ayuda del programa BULK COMPOSITION, paquete de FLUIDS [25] para determinar la densidad y composición de las inclusiones fluidas. También se utilizó el programa AQSO3 para determinar la salinidad de las inclusiones donde se toma como referencia el sistema binario (NaCl + H2O) y las ecuaciones de estado de [26].
3. Resultados
3.1. Petrografía
Se tomaron muestras de los 4 niveles calcáreos pertenecientes a la formación Loma Gorda del levantamiento estratigráfico hecho por [20] que dividía la formación Loma Gorda en 3 segmentos principales.
El nivel 1 corresponde a la base de las calizas del segmento 1, contacto con la formación Hondita, presenta muestras grisáceas de tipo Packstone según la clasificación textural de Dunham [27], se observa gran cantidad de aloquímicos, lo que indica un ambiente de arrecife Se encontraron porosidades primarias de tipo interparticula (ver Fig. 3).

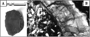
Fuente: Autores, 2023.
Figura 3 Muestra representativa del nivel 1 de la formación Loma Gorda (A) Muestra de mano, (B) Sección delgada.

Fuente: Autores, 2023.
Figura 4 Muestra representativa del nivel 2 de la formación Loma Gorda (A) Muestra de mano, (B) Sección delgada.

Fuente: Autores, 2023.
Figura 5 Muestra representativa del nivel 3 de la formación Loma Gorda (A) Muestra de mano, (B) Sección delgada.
El nivel 2, correspondiente a las calizas del estrato central del segmento 1, se encuentran muestras de tonalidades gris oscuro a negro de tipo Wackestone con intercalaciones de Mudstone, en las cuales se observan vetas de calcita y cuarzo, pertenecientes a un ambiente de tipo Lagoon. Se encontraron porosidades primarias de tipo interparticula y secundarias como Estilolitos y fracturas las cuales están cubiertas por minerales de calcita y cuarzo (ver Fig. 4).
En el nivel 3, correspondiente al techo de las calizas del segmento 1 se observan rocas rojizas tipo Mudstone en la base del nivel y Wackestone en contacto con el Shale de Bambucá e intercalación con areniscas, las cuales pertenecen a una zona intermareal. Se encontraron porosidades primarias de tipo interparticula (ver Fig. 5).
Y, por último, el nivel 4, corresponde a las calizas del segmento 3, el cual se encuentra entre un bloque cuarzoarenitas en la base y la formación Olini en el techo, presenta muestras de tipo Mudstone con intercalaciones de lodolitas silíceas de material fino y parte del estrato está cubierto. Se encontraron porosidades primarias de tipo interparticula (ver Fig. 6).
3.2. Clasificación de las inclusiones fluidas
Las inclusiones fluidas se clasificaron de acuerdo con su morfología, composición y origen de formación. Se identificaron inclusiones fluidas de tamaño pequeño menores a 50 um, las cuales son en su mayoría ovoides (70%) y tabulares (30%) (ver Fig. 7).

Fuente: Autores, 2023.
Figura 7 Morfologías de las inclusiones fluidas (A) ovoides y (B) tabulares presentes.
Según la composición de las inclusiones fluidas son de tipo bifásicas ricas en líquido, las cuales se consideran tipo L (ver Fig. 8) con mayor proporción de líquido de acuerdo con la clasificación de [28].

Fuente: Autores, 2023.
Figura 9 Inclusiones fluidas (S) secundarias y (PS) pseudosecundarias presentes en las muestras de la formación Loma Gorda del área de estudio.

Fuente: Autores, 2023.
Figura 10 Gráfico de covarianza de Th vs. Tm por niveles calcáreos reconocidos.
De acuerdo con su origen de formación son consideradas pseudosecundarias y secundarias (Ver fig. 9) debido a que estas se ordenan oblicuas y cortan los bordes de los cristales de las rocas de estudio.
3.3. Microtermometría de inclusiones fluidas
Se realizaron las mediciones microtermométricas en las muestras del área de estudio todas pertenecientes a la formación Loma Gorda, se obtuvieron un total de 95 mediciones de las diferentes temperaturas: Temperatura de homogenización (Th), Temperatura de nuclearización (Tn), Temperatura Eutéctica (Te) y Temperatura de fusión final o melting (Tm) generadas durante la medición en los cambios de fases de las inclusiones, las cuales se resumen en la siguiente tabla (ver tabla 1).
Tabla 1 Datos microtermométricos de las IFs de la formación Loma Gorda.
| Parámetro Estadístico | Th °C | Tn °C | Te °C | Tm °C |
|---|---|---|---|---|
| Min | 130.20 | -56.30 | -45.30 | -24.50 |
| Prom | 141.16 | -45.95 | -34.40 | -22.47 |
| Max | 150.00 | -39.00 | -27.00 | -20.30 |
| Moda | 149.00 | -56.00 | -30.00 | -21.50 |
Fuente: Autores, 2023.
En cuanto a la salinidad se realizaron cálculos que generaron los valores comprendidos entre 22.74 NaCl eq. Wt % y 25.51 NaCl eq. Wt % como se observa en la siguiente tabla resumen (Ver tabla 2).
Tabla 2 Resultados estadísticos de la formación Loma Gorda.
| Parámetro Estadístico | Salinidad NaCl Eq. Wt% | Vol Molar (cm³/mol) | Densidad (g/cm³) | xH₂O | xNa+ | xCl- |
|---|---|---|---|---|---|---|
| Min | 22.74 | 19.23 | 1.08 | 0.828 | 0.075 | 0.075 |
| Prom | 24.21 | 19.50 | 1.11 | 0.837 | 0.081 | 0.081 |
| Max | 25.51 | 19.75 | 1.13 | 0.849 | 0.086 | 0.086 |
| Moda | 23.57 | 19.60 | 1.10 | 0.839 | 0.080 | 0.080 |
Fuente: Autores, 2023.
4. Discusión
Al analizar los niveles calcáreos reconocidos en el área de estudio, se evidencia que la base sufrió un periodo de alta energía con alto contenido de Bioclastos en un ambiente de arrecife, tiempo después ocurre la depositación de un nivel calcáreo de tipo lagoon y posteriormente un nivel de zonas intermareales en contacto con el shale de Bambucá, seguido por un paquete de cuarzo arenitas pertenecientes a un ambiente transicional de playa y hacia el techo calizas tipo Mudstone con intercalaciones de lodolitas silíceas en contacto con la formación Olini (ver Fig. 2). Y las porosidades observadas en todos los niveles son congruentes con faces diagenéticas tardías.
Al comparar los resultados de temperatura de homogenización y temperatura melting obtenidos de los niveles calcáreos de la zona de estudio, se determina que los niveles 1 y 3 presentan las mayores temperaturas de homogenización, lo que indica que el fluido hidrotermal fue atrapado bajo condiciones muy similares. El nivel 4 presenta las menores Th con respecto a los otros niveles y las mayores Tm, lo que se traduce en el nivel con menor salinidad de la sección analizada (ver Fig. 10).
Se determina una salinidad promedio de 24.21 NaCl eq. wt % y se calculó la diferencia de entre la máxima y mínima salinidad, la cual fue leve de 2.77 NaCl eq. Wt %, las cuales ratifican la presencia de agua marina normal según la clasificación de [29] sin embargo, cuando se compara con las temperaturas de homogenización se encuentra que hay diferencias entre los 4 niveles calcáreos, donde se observa que el nivel 4 es el que presenta menores Th en rango entre 130°C y 135° lo que se traduce en una menor salinidad con respecto a los otros 3 niveles, evidenciando la transición de este nivel (4) al estar en contacto con la formación Olini como se observa en el gráfico Salinidad vs Th (ver Fig. 11). Mientras que los primeros 3 niveles se encuentran dentro de condiciones muy similares de salinidad y temperaturas de homogenización.
Los datos obtenidos y representados a lo largo de la columna estratigráfica muestran que el nivel calcáreo que se encuentra más cercano al techo de la formación Loma Gorda (Nivel 4), presenta una salinidad menor que los niveles calcáreos de la base, lo cual es congruente con las variaciones en las condiciones fisicoquímicas del agua marina, evidenciando la evolución regresiva del Mar Cretácico que concuerda con los estudios realizados anteriormente en esta zona y sus alrededores (ver Fig. 12).

Fuente: Autores, 2023.
Figura 11 Gráfico de covarianza de Salinidad vs. Th por nivel calcáreos reconocidos.

Fuente: Autores, 2023.
Figura 12 Relación entre las temperaturas de homogenización (Th), temperaturas de fusión final (Tm) y salinidad promedio de los niveles calcáreos reconocidos.
En cuanto a las implicaciones en la generación de hidrocarburos en las muestras analizadas y partir de las temperaturas de homogenización obtenidas de las inclusiones fluidas pseudosecundarias y secundarias analizadas y el gráfico de condiciones de generación de petróleo y gas propuesto por [30] se determina que, en el momento del entrampamiento de las rocas carbonatadas de la formación Loma Gorda estas se encontraban en la ventana de generación de hidrocarburos Medianos - Livianos y gran potencial para Gases húmedos (ver Fig. 13), esto afirmado gracias a los resultados obtenidos donde las temperaturas de homogenización se encontraban entre el rango de 130.2°C - 150°C por lo que se concluye que las muestras obtuvieron las características actuales de los hidrocarburos y gases de la cuenca debido a los procesos diagenéticos sufridos.
5. Conclusiones
Se reconocieron 4 niveles calcáreos pertenecientes a la formación Loma Gorda del levantamiento estratigráfico hecho en la Quebrada la Guagua en el municipio de Palermo, Huila, en los cuales se identificaron muestras de tipo Mudstone, Wackestone y Packstone según la clasificación de Dunham pertenecientes a ambientes de tipo arrecifal, lagoon y transición intermareal.
Se identificaron inclusiones fluidas de tamaño pequeño menores a 50 um, las cuales fueron en su mayoría ovoides (70%) y tabulares (30%), de tipo bifásicas ricas en líquido (tipo L) y de acuerdo con su origen de formación de tipo pseudosecundarias y secundarias.
A partir de la temperatura de homogenización se establece la temperatura a la que ocurrió el atrapamiento del fluido hidrotermal dentro de las rocas carbonatadas para la formación Loma Gorda valores desde 130.2°C a 150°C y por medio de estas se logró determinar la ventana de generación de hidrocarburos con mayor potencial generador gases húmedos y crudo de tipo mediano-liviano.
Mediante las temperaturas de fusión final (Tm) de las inclusiones fluidas se logró establecer la salinidad del agua de formación presente en las rocas carbonatadas estudiadas, en donde se determinó que la formación Loma Gorda con Tm promedio de -22.47°C (24.21% eq. Wt. NaCl promedio), lo cual es indicativo de variaciones en las condiciones fisicoquímicas del agua marina, evidenciando la evolución regresiva del Mar Cretácico que concuerda con los estudios realizados anteriormente en esta zona y sus alrededores.
















