Services on Demand
Journal
Article
Indicators
-
Cited by SciELO -
Access statistics
Related links
-
Cited by Google -
Similars in
SciELO -
Similars in Google
Share
Revista de Estudios Sociales
Print version ISSN 0123-885X
rev.estud.soc. no.47 Bogotá Sept./Dec. 2013
Indigentes urbanos: entre la estigmatización y la exclusión social en la ciudad de Buenos Aires*
Fernando Groisman, María Eugenia Sconfienza
Doctor en Ciencias Sociales, Facultad Latinoamericana de Ciencias Sociales (Flacso), Argentina. Investigador del Consejo Nacional de Investigaciones Científicas y Técnicas (Conicet) y de la Universidad de Buenos Aires (UBA). Últimas dos publicaciones: Gran Buenos Aires: polarización de ingresos, clase media e informalidad laboral, 1974-2010. Revista de la CEPAL 109 (2013), y Políticas de protección social y participación económica de la población en Argentina (2003-2010). Desarrollo Económico, 2011. Correo electrónico: fgroisman@conicet.gov.ar
Magíster en Diseño y Gestión de Programas Sociales, Facultad Latinoamericana de Ciencias Sociales (Flacso), Argentina. Estudiante de doctorado en Flacso. Becaria del Conicet. Últimas dos publicaciones: Políticas de protección social y participación económica de la población en Argentina (20032010). Desarrollo Económico, 2011, y El servicio doméstico en Argentina. Particularidades y desafíos de un sector relegado (2004-2012), en evaluación. Correo electrónico: eugeniasconfienza@gmail.com
DOI: http://dx.doi.org/10.7440/res47.2013.07
RESUMEN
El estudio aquí planteado ilustra sobre la exclusión social a la que están expuestos los indigentes urbanos en Buenos Aires. El artículo se compone de dos apartados. En el primero de ellos se resumen algunos aspectos relevantes de la literatura especializada sobre la exclusión social y el funcionamiento del mercado de trabajo en Argentina en el pasado reciente. El segundo sintetiza los resultados del trabajo de campo efectuado. Éste se basó en la realización de 190 entrevistas a varones adultos residentes en hogares y paradores de la ciudad de Buenos Aires. La investigación indagó acerca de las percepciones de los entrevistados respecto de su situación de vulnerabilidad laboral y procuró rastrear los factores que determinan el tipo de inserción que logran en la actividad económica, entre ellos, la incidencia de las credenciales educativas. Se pudo constatar que la gran mayoría de los indigentes urbanos ha venido exhibiendo trayectorias laborales caracterizadas por la alternancia entre precariedad ocupacional -desocupación abierta-, desaliento y retiro de la actividad económica. Tal dinámica parece ser insensible a los avatares del ciclo económico.
PALABRAS CLAVE
Informalidad, exclusión social, indigentes urbanos.
Urban Indigents: Between Stigma and Social Exclusion in the City of Buenos Aires
ABSTRACT
The paper characterizes the social exclusion that affects individuals suffering extreme poverty in Buenos Aires. The article consists of two sections. First, it summarizes some relevant aspects of the literature on social exclusion and the functioning of the labor market in the recent past in Argentina. Second, it presents the results of the fieldwork completed by the authors. The research was based on a survey of 190 adult males living in homeless shelters in the City of Buenos Aires. The goal of the investigation was to record their perceptions regarding labor opportunities and to identify the factors that might influence their inclusion into/exclusion from economic activities, including the role of educational credentials. We found that the vast majority of respondents exhibited work trajectories characterized by alternating unemployment, unstable jobs, and inactivity. That pattern seems to be insensitive to economic cycles.
KEY WORDS
Informality, social exclusion, urban indigents.
Indigentes urbanos: entre a estigmatização e a exclusão social na cidade de Buenos Aires
RESUMO
O estudo aqui proposto trata da exclusão social à qual estão expostos os indigentes urbanos em Buenos Aires. Este artigo se compõe de duas partes. Na primeira, resumem-se alguns aspectos relevantes da literatura especializada sobre a exclusão social e sobre o funcionamento do mercado de trabalho na Argentina no passado recente. A segunda sintetiza os resultados do trabalho de campo efetuado. Este se baseou na realização de 190 entrevistas a homens adultos residentes em lares da cidade de Buenos Aires. A pesquisa indagou sobre as percepções dos entrevistados a respeito de sua situação de vulnerabilidade laboral e procurou rastrear os fatores que determinam o tipo de inserção que conseguem na atividade económica, entre eles, a incidência das credenciais educativas. Pôde-se constatar que a grande maioria dos indigentes urbanos vem exibindo trajetórias laborais caracterizadas pela alternância entre precariedade ocupacional -desocupação aberta-, desalento e saída da atividade econômica. Essa dinâmica parece ser insensível aos avatares do ciclo econômico.
PALAVRAS-CHAVE
Informalidade, exclusão social, indigentes urbanos.
Introducción
La demanda laboral en Argentina, aun en contextos de fuerte recuperación económica, pareciera ponderar aquellos atributos que tienden a reforzar la exclusión social de quienes ya se encuentran en situación de pobreza o de franca vulnerabilidad. Quizás el ejemplo más claro de ello es la utilización del nivel educativo alcanzado como el criterio de reclutamiento más extendido para incorporar trabajadores que, en numerosas ocasiones, no requieren ese capital educativo para su desempeño laboral. En otras palabras, los puestos de trabajo que tradicionalmente eran cubiertos por trabajadores de baja calificación son crecientemente asignados a personas con mayores credenciales educativas. Cabe anotar que en la primera década del presente siglo, aunque se mantuvo la estructura por calificación del trabajo asalariado, aumentó la incidencia de aquellos con mayor nivel educativo en los puestos de baja calificación. Por otra parte, las brechas de los salarios horarios confirman que este cambio de composición no se vio acompañado de uno de similar intensidad en los diferenciales salariales. Es decir, que los trabajadores más educados que ocuparon puestos de menor calificación fueron retribuidos por las características del puesto que ocupaban, y no por sus atributos personales -su nivel educativo-. Esta información es compatible con episodios de devaluación educativa, lo cual implica que los retornos salariales a la educación se redujeron debido al exceso relativo de trabajadores con mayor nivel de instrucción. Tal dinámica habría afectado preferencialmente -vía expulsión del empleo o reducción de oportunidades- a los individuos con baja educación (Groisman 2008).
Las menores oportunidades de empleo para aquellos en situación de desventaja social parecen haber estado asociadas también a otros factores. Uno de ellos es el relacionado con las redes sociales por las que circula la información sobre vacantes laborales. Éstas han adquirido una incidencia relevante tanto en la distribución de información sobre oportunidades de empleo como en la propia vinculación con la demanda, operando en muchas ocasiones como instancias de intermediación laboral de hecho. Estos contactos y redes están altamente correlacionados con el nivel socioeconómico de pertenencia de hogar. En este sentido, puede argüirse que el impacto negativo sobre el acceso a puestos de mejor calidad habrá sido mayor para aquellos individuos que pertenecen a los hogares más pobres. Precisamente, es en este estrato donde se observa con mayor frecuencia que las familias quedan excluidas de estas redes y circuitos de información y relaciones sociales. La información descriptiva disponible para Argentina, teniendo en cuenta la variable del nivel de educación, apunta en esa dirección. Los jefes de hogar, cónyuges e hijos de hogares de bajos recursos obtienen menores ingresos que sus similares en los hogares del estrato superior. En otras palabras, no sólo los ocupados de menor calificación perciben menores ingresos que aquellos con mejor dotación educativa, sino que el hecho de pertenecer al estrato de hogares con jefe de baja educación ocasionaría un descuento sobre sus remuneraciones -siempre respecto de otros trabajadores de nivel educativo y posición en el hogar similares-. Se desprende de ello la permanencia de diversos factores que tienden a perpetuar la condición de pobreza. Cabe mencionar entre ellos la segregación espacial socioeconómica, la discriminación laboral con base en ciertas características sociodemográficas y/o socioeconómicas, que dificultan el acceso a mejores condiciones de vida en forma duradera. Ante tal evidencia, se deduce que aquellos individuos en situación de pobreza extrema -indigentes- que carecen de una vivienda propia y residen temporalmente en refugios urbanos estarían expuestos a mayores privaciones. La presente investigación tiene por fin analizar la situación laboral de este segmento de los indigentes urbanos, específicamente aquellos que residen en hogares y paradores de la ciudad de Buenos Aires.1
Los pobres urbanos conforman un universo heterogéneo y tienen como rasgo común el hecho de estar excluidos del mercado formal de empleo y padecer múltiples carencias. Sin embargo, es todavía acotada la investigación sobre esta temática.2 El aporte de este artículo radica en avanzar en el conocimiento de aquellos factores que persisten como determinantes de la sistemática exclusión laboral a la que se enfrentan los indigentes sin vivienda que residen en los paradores de la ciudad de Buenos Aires.
En el curso del artículo se adopta una definición amplia de vulnerabilidad que incluye a todos aquellos que comparten una situación de adversidad en el ámbito social y económico,3 y que se origina en la carencia de medios para disfrutar de las mismas oportunidades que la población ocupada en puestos de trabajo protegidos, es decir, registrados en el Sistema de la Seguridad Social. El enfoque utilizado reconoce en la precariedad laboral, en general, y en el desempleo, en particular, factores que contribuyen a acentuar la brecha socioeconómica que separa a diversos estratos sociales en Argentina. Como se mencionó, es todavía escasa la evidencia empírica obtenida a partir de una perspectiva de investigación de campo que haga énfasis en la subjetividad de los excluidos. La mirada "desde adentro", por tanto, se presenta como un insumo significativo para proporcionar información relevante acerca de fenómenos difíciles de captar con las herramientas convencionales, como el desaliento o el desánimo que padecen los excluidos.
El presente artículo se estructura en tres secciones. En la primera se desarrollan brevemente algunas precisiones conceptuales y se muestran algunos datos referidos a esta problemática para el corriente período de recuperación económica, provenientes de la Encuesta Permanente de Hogares del Instituto Nacional de Estadística y Censos (EPH-INDEC). La segunda sección presenta los resultados del trabajo de indagación a 190 individuos en situación de vulnerabilidad socioeconómica que residen en hogares y paradores de la ciudad de Buenos Aires. Por último, se resumen los principales hallazgos de esta investigación.
Exclusión social y recuperación económica
Las dimensiones laborales de la exclusión social: precariedad, informalidad, desempleo y desánimo
Hace ya varias décadas, con la generalización de la crisis de la relación salarial a mediados del decenio de los setenta, el concepto de exclusión social ha ido ganando protagonismo en la literatura, con la misma intensidad con la que se desarrolló un agudo debate sobre sus alcances. Se han enfatizado, alternativa o complementariamente, sus vínculos con otros déficits sociales como la pobreza, la vulnerabilidad o la inseguridad económica. Si bien no se ha logrado aún un consenso generalizado, se constata cierta aceptación en torno a algunas características que constituirían parte central de este concepto. Entre éstas cabe mencionar que se trata de un fenómeno multidimensional, relativo, dinámico, acumulativo y estrechamente asociado a lo que acontece en el mercado laboral (Atkinson 1998, 11-12; Gallie y Paugam 2002, 6; Tsakloglou y Papadopoulos 2002, 136; Sen 2000; Room 1995). En esta sección se pasa brevemente revista sobre aquellos fenómenos vinculados al mundo del trabajo que reflejan las diversas manifestaciones de la fragilidad del vínculo que logran establecer algunos grupos de población en la actividad económica.
Entre las características más representativas del trabajo precarizado en Argentina -aquel que se desarrolla en un puesto de trabajo que no se encuentra registrado en el Sistema de Seguridad Social- se destacan las siguientes: la inestabilidad (contratos de corta duración o inexistencia de contrato, sin derecho a preaviso ni indemnización); tareas modificables unilateralmente a voluntad del empleador; ingresos inciertos y/o insuficientes -más bajos que los de trabajadores registrados-; carencia/insuficiencia de percepción de beneficios, tales como licencia por enfermedad, licencias para atención de los hijos, licencia por muerte familiar; inseguridad laboral (mayores riesgos de enfermedades y lesiones por exposición a condiciones peligrosas, control limitado sobre las condiciones del lugar de trabajo, baja protección contra riesgos a la salud y seguridad física en el lugar de trabajo); en relación con la duración de las jornadas laborales, aquellos casos de horarios prolongados o de carga horaria impredecible, que fomentan irregularidad de horarios e intermitencia laboral; restricción de acceso a formación y capacitación con expectativas de ascenso laboral, y bajas posibilidades de representaciones colectivas como sindicatos. Acerca del régimen laboral en Argentina, puede consultarse Goldín (2008).
El desempleo, por su parte, constituye la forma más extrema de precariedad laboral. Las personas que desean trabajar pero no logran hacerlo son consideradas desocupadas,4 y, en contextos de ausencia de mecanismos de protección social adecuados, es muy elevada la correlación con la incapacidad de satisfacer necesidades vitales. Además de la privación económica, como señala Castel (1997), cuanto más grande es la precariedad de la situación del trabajador respecto del empleo, mayores son los riesgos de rupturas sociales y familiares, de reducción de la sociabilidad, de pérdida de identidad y de mayor sufrimiento psíquico y mental. De la misma manera, se ha señalado que es en el ámbito del mercado de trabajo donde el trabajador adquiere su identidad y construye un sentimiento de utilidad social, según las funciones que cumple en la división técnica y social del trabajo, lo que a su vez repercute en su salud (Paugam 1997).
Queda claro entonces que el empleo asalariado y protegido en Argentina representa la instancia que asegura derechos sociales y ciudadanos con base en la contribución productiva del trabajador. Es decir, que la limitación en el acceso al mercado de trabajo formal se presenta como un potente disparador de la exclusión social. Es frecuente en las economías latinoamericanas que la brecha entre el desempleo y el empleo registrado se resuelva a favor de la informalidad en el mercado de trabajo. Precisamente, la informalidad -sector informal o economía informal- es una categoría relevante para el análisis de las estructuras productivas y de los mercados de trabajo de los países en desarrollo. La perspectiva original de la Organización Internacional del Trabajo (OIT 1972) y los avances realizados luego -principalmente en América Latina- ligaron la existencia de unidades productivas informales de esos países a la incapacidad de sus economías para crear puestos de trabajo formales suficientes para ocupar la fuerza laboral disponible.
En la actualidad, la definición de la informalidad contempla el incumplimiento de las normas que regulan la actividad laboral (Hussmanns 2004). La informalidad es el destino principal para una proporción relevante de la población que no logra acceder a un puesto de trabajo asalariado protegido. Forman parte de este segmento heterogéneo los trabajadores empleados por cuenta propia o las trabajadoras del servicio doméstico y el conjunto de ocupados en puestos no registrados. La característica relevante es que quienes se desempeñan en estas ocupaciones obtienen remuneraciones sensiblemente inferiores a las de aquellos ocupados en la economía formal. Así, la informalidad, aun cuando puede contribuir a disminuir los niveles de pobreza e indigencia, no logra resolver la situación de exclusión social, sino que tiende a perpetuarla, por cuanto la permanencia en la informalidad reduce las probabilidades de abandonar estos empleos.
Por último, cabe destacar una dimensión analítica que tiende a ser subestimada en la investigación social y que refiere al desaliento o desánimo laboral. En efecto, se trata de la población que ha abandonado la búsqueda de un empleo ante la expectativa de no encontrarlo. El "trabajador desalentado/desanimado" desaparece de la estadística que mide la población económicamente activa: no está ocupado ni busca activamente un empleo, por lo cual tampoco se contabiliza como un desocupado. Se trata de un desocupado latente -disponible para el empleo- pero retirado de la actividad económica. El desaliento laboral implica "haberse rendido", y, por ende, el trabajador se ha dado por vencido porque siente que no tiene las calificaciones adecuadas, no sabe dónde o cómo buscar trabajo, o siente que no hay trabajo apto disponible para él. En este sentido, el trabajador desalentado se encuentra inactivo en forma involuntaria (OIT 2006).
Las razones del desaliento son numerosas y variadas. El género, la religión, la carencia de calificaciones o de experiencia, distintas enfermedades o discapacidades -que no inhabilitan el desempeñarse en algún empleo-, son causas posibles del fenómeno. También lo es, y muy especialmente, el factor de la edad. Es frecuente, por ejemplo, que los empleadores otorguen prioridad para la cobertura de las vacantes laborales a adultos en edades entre 30 y 44 años, afectando negativamente las posibilidades de empleo de quienes no están comprendidos en ese rango etario. Las personas desalentadas se encuentran en una zona gris entre la actividad y la inactividad económica, y su inclusión en una u otra varía con las expectativas y las percepciones que se tengan acerca del funcionamiento del mercado laboral. Desde este punto de vista es que se los ha conceptualizado como desocupados ocultos en la inactividad. Se sigue de ello que la tasa de desocupación -y la de actividad también- debería ser corregida teniendo en cuenta este universo. Se han detectado algunos problemas metodológicos a la hora de estimar la magnitud de este grupo. En efecto, la medición de los trabajadores desalentados requiere, o bien información acerca de la búsqueda de empleo para los desocupados durante un período dado -razonablemente, seis o doce meses- y las razones del abandono de la búsqueda; o bien, la cuantificación de aquellos que no estando ocupados desean trabajar y están disponibles para hacerlo. Se puede apreciar, no obstante, que este tipo de mediciones no agotan el fenómeno del desaliento pues no captan aquellas situaciones de desánimo de más larga duración que derivaron en el retiro de la actividad económica con una antelación mayor a un año. Por ejemplo, la de aquellos que se perciben a sí mismos como excluidos y, por lo tanto, no expresan deseos de trabajar cuando son interrogados, pero estarían disponibles ante la posibilidad de acceder a un puesto de trabajo.
La situación económica y laboral en el pasado reciente
A partir del segundo semestre de 2002 la economía argentina inició una fase expansiva de gran intensidad. Parte importante de la recuperación obedeció al cambio en el régimen macroeconómico, que implicó, entre otras medidas, una fuerte devaluación de la moneda luego de la aguda crisis de fines de 2001. Las tasas de crecimiento del Producto Interno Bruto (PIB) oscilaron en torno al 8-9% en el quinquenio que comenzó en 2003. En 2008 este indicador se ubicó cercano al 7%, y disminuyó sensiblemente en 2009. Lo acontecido durante este último año parece haber sido un reflejo del clima de incertidumbre internacional a raíz de la crisis del mercado de hipotecas sub-prime en Estados Unidos (cuyo origen cabe ubicar en agosto de 2007).
Entre los factores que ayudan a entender el notable desempeño económico de Argentina, deben resaltarse la favorable coyuntura internacional para las exportaciones, los efectos en el mercado interno de la sustitución de importaciones, la recuperación de la inversión privada -impulsada por las limitadas alternativas de inversión financiera- y la recuperación del consumo. La recuperación económica se verificó tanto en los sectores productores de bienes como en los servicios. Ya en 2005 se habían alcanzado las marcas máximas de la década previa. Al compás de la expansión económica agregada se ha venido produciendo un cambio en la estructura sectorial, cuyo sesgo difiere respecto del observado en la década anterior. Actividades como la industria manufacturera mostraron un gran dinamismo en estos años. También se puede constatar el notable dinamismo de la construcción, el comercio, los servicios modernos y las actividades de transporte y comunicaciones.
Asimismo, los últimos años dan indicios de un mejoramiento de la calidad de los empleos acompañado, entre otros factores, de la dinamización de las negociaciones colectivas -entre trabajadores y empleadores- y de aumentos periódicos en el salario mínimo. Estos dispositivos tendieron a comprimir la distribución de los salarios, por cuanto repercuten con mayor magnitud en la parte inferior de las escalas de ingresos (Groisman 2013). No obstante, estas mejoras se evidenciaron en los sectores asalariados de la sociedad. El acceso a un puesto de trabajo formal continuó siendo esquivo para una proporción no despreciable de individuos pertenecientes al estrato social más bajo. Particularmente, los grupos a los que alude el estudio aquí realizado se dedican a actividades en las cuales el grado de no registro es muy elevado, como son el comercio minorista, la construcción y el cuentapropismo no profesional (es decir, aquellos autoempleados que no son asalariados ni empleadores y que no tienen un alto nivel educativo). Globalmente, en materia de empleo parece haberse consolidado una tendencia sostenida de incorporación de trabajadores con niveles educativos medios y altos, lo cual está en línea con la dotación de capital humano de la población en edad de trabajar. Puede verificarse que alrededor del 80% de los ocupados residentes en la ciudad de Buenos Aires había completado el nivel medio de educación.
En línea con ello, aquellos con menor nivel de educación obtuvieron remuneraciones laborales en torno al 60% del ingreso promedio y mostraron las tasas de inactividad económica más elevadas (duplicando el valor promedio). (Ver el cuadro 1).

Se desprende de lo anterior que aquellos individuos con bajo nivel educativo que residen en la ciudad de Buenos Aires enfrentaron de modo sistemático menores oportunidades de acceso a un empleo. En efecto, una de las causas que influye decisivamente sobre la exclusión social es la debilidad de la demanda laboral para los ocupados de baja calificación. Lo anterior se ve potenciado si además los puestos de trabajo que tradicionalmente eran cubiertos por estos trabajadores se les asignan a personas con mayores credenciales educativas.
Las menores oportunidades de empleo para este grupo de individuos pudieron haber estado asociadas también a otros factores. Uno de ellos es el relacionado con las redes sociales por las que circula la información sobre vacantes laborales. Éstas han adquirido una incidencia relevante tanto en la distribución de información sobre oportunidades de empleo como en la propia vinculación con la demanda, operando en muchas ocasiones como instancias de intermediación laboral de hecho. Estos contactos y redes están altamente correlacionados con el nivel socioeconómico de pertenencia del hogar. En este sentido, puede argüirse que el impacto negativo sobre el acceso a puestos de mejor calidad habrá sido mayor para aquellos individuos que residen en hogares urbanos de tránsito o paradores. La evidencia que se va a presentar en la sección siguiente sugiere la presencia de un segmento de ocupados que se habría visto relativamente menos beneficiado con la expansión económica. Este escenario es compatible con la existencia de barreras de acceso al empleo en general para aquellos individuos socialmente excluidos. Además de los factores ya mencionados, diversas manifestaciones como la discriminación laboral y la estigmatización social pueden operar en la misma dirección.
Por último, resulta útil para comprender la evolución de los últimos años en materia de situación de calle contar con información que permita visualizar y dimensionar la problemática de personas sin hogar en la Ciudad. No obstante, en la actualidad no se dispone en la ciudad de Buenos Aires de información confiable con relación a la medición de la cantidad, el modo de vida y las particularidades de las personas en situación de calle. Según un relevamiento del gobierno de la ciudad de Buenos Aires realizado en diciembre de 2010, en la ciudad habría 1.287 personas en situación de calle. Sin embargo, diversas entidades no gubernamentales que trabajan la temática señalan que estos datos no son exactos; otras organizaciones de la sociedad civil indican que este universo ascendería a unas 15 mil personas, si se contempla a quienes se alojan en paradores y hogares.
Metodología y resultados del relevamiento
Metodología
Se examinó una población en la cual estuvieran presentes diversos factores que permitieran la efectiva realización de las encuestas y entrevistas, así como la obtención de datos fiables que hicieran del estudio de campo una herramienta efectiva respecto a los fines de la investigación. Para ello, se diseñó un modelo de entrevista para ser aplicado a personas residentes en hogares de tránsito de la ciudad de Buenos Aires. El universo quedó de esta forma circunscripto a un segmento de elevada vulnerabilidad laboral y social: los indigentes urbanos. Los Hogares y Paradores son dispositivos que brindan un espacio para la estadía transitoria a aquellas personas con emergencias habitacionales, que se encuentran en situación de calle -no poseen ningún tipo de alojamiento- y, por tanto, se hallan en riesgo social. El modelo de entrevista se compone de preguntas cerradas y abiertas. Además de las entrevistas, se suministró un cuestionario también destinado a recoger información de parte de los residentes de hogares de tránsito de la ciudad de Buenos Aires. Este formulario ha sido completado en forma autónoma y privada por los informantes. Este método combinado tuvo el propósito de controlar la fiabilidad de la información al evitar la intermediación del investigador, en el caso de los cuestionarios autoadministrados. Ambas herramientas de recolección de datos fueron implementadas en forma intercalada durante el tiempo que duró el relevamiento (once meses).
Se acotó el relevamiento a la población de sexo masculino mayor de 25 años -con más de siete años por encima de la edad prevista de finalización de los estudios secundarios-, con el fin de que, en general, tuvieran experiencia en el mercado laboral. El trabajo de campo se realizó en diez hogares de tránsito -o paradores- de la ciudad de Buenos Aires en los que residen hombres adultos. Se entrevistó a 101 personas y se suministraron 89 cuestionarios entre el mes de junio de 2010 y mayo de 2011. La dinámica de acceso a los entrevistados fue la siguiente: en primer lugar, se solicitó una entrevista con el coordinador o responsable de la institución, en la cual se explicaban el fin de la investigación y las características del relevamiento. A partir de este primer encuentro se seleccionó, conjuntamente con los responsables de los hogares, a aquellos residentes que podrían participar en la investigación, y se pactaban días de visita. Los criterios de selección fueron hombres que se encontraran en situación de desempleo o inactividad, que no presentaran trastornos graves en su salud mental y que desearan colaborar con la investigación.
La información suministrada por las entrevistas fue complementada con el aporte de las conversaciones mantenidas con informantes clave como los coordinadores de hogares o el personal de los dispositivos. Se logró identificar, así, una interesante cantidad de patrones comunes presentes en las historias relatadas y la información suministrada por cada una de las personas, los cuales se desarrollan en el apartado siguiente.
Resultados empíricos
Características sociodemográficas
Dos de cada tres entrevistas se realizaron a individuos con edades entre 40 y 60 años -43%, entre 50 y 60 años de edad, y el 21%, entre 40 y 50 años- (ver el gráfico 1). Del total de los residentes, un 62% tienen nivel educativo hasta secundario incompleto; 14%, secundario completo; 16%, terciario o universitario incompleto, y 8%, universitario o terciario completo.

Las personas entrevistadas y encuestadas comparten una realidad común, que es la de no poseer una vivienda fija. En la mayoría de los casos, los motivos que las llevaron a la situación de calle giran en torno a cuatro problemáticas -que se dan en forma aislada o superpuesta-: a) imposibilidad de afrontar un alquiler o pérdida de hogar si lo habían adquirido mediante crédito; b) conflictos conyugales o familiares que las han obligado a dejar su casa; c) enfermedades que las llevaron a perder su empleo o las posibilidades de obtener ingresos alternativos; d) adicciones que las han empujado a perder su empleo o las posibilidades de obtener ingresos alternativos. La primera de ellas es la que se manifestó con mayor regularidad. Los hombres que residen en los hogares alternan sus estadías entre las instituciones de este tipo y la "situación de calle".
Eventualmente, acceden a otro tipo de moradas transitorias como hoteles o casas de algún familiar. Se pudo detectar que en una gran cantidad de casos la rotación -entrada y salida del hogar de tránsito- es elevada. Si bien se espera que la salida del hogar esté asociada a una inserción laboral y social, la experiencia -durante el período que duró el proceso de entrevistas- demostró que la alternancia entre la situación de calle y la estadía en el hogar ha sido la dinámica preponderante. En efecto, es habitual que al no conseguir vacante en estos hogares, la alternativa más recurrente sea la situación de calle.
El 40% de los entrevistados estaba ocupado. En general se desempeñan en changas o trabajos temporales con bajas remuneraciones, informales y en condiciones precarias. La gran mayoría de los hombres respondió poseer más de un oficio, y se pudo contabilizar un total de 391 menciones de oficios -lo que arroja un promedio de aproximadamente dos oficios por persona- y 35 oficios (ver el gráfico 2). La ejecución de labores de fuerza, no reguladas, excesivas y mal pagas, se observó en una gran cantidad de casos.

Entre los diversos mecanismos de subsistencia, uno de los más extendidos es la recolección en la calle de cartones para su reciclado, pero también de alimentos desechados. Mediante los relatos se detecta que fueron las "circunstancias", y no la libre elección, los factores que definieron las inserciones laborales: "No hay trabajo. Antes todos tenían la posibilidad, ahora se ve la falta de trabajo, antes se podía elegir el lugar donde uno quería trabajar, ahora hay que agarrar lo que hay" (60 años, secundaria completa). Lograr un ingreso mensual no es tarea sencilla cuando la mayoría de las entradas son inestables y fluctuantes. Algunos entrevistados informaron que percibían el "ticket social", y otros, el programa de "ciudadanía porteña", y en ocasiones, pensiones por discapacidad.5
Los ingresos percibidos de quienes se encontraban trabajando se ubican en promedio en menos de $900, lo que evidencia una gran informalidad, y una diferencia considerable con el Salario Mínimo, Vital y Móvil vigente en el momento del relevamiento ($1.840). Ello es también evidencia de las altas tasas de informalidad que afectan a este grupo de población. Mientras que los ocupados asalariados deberían, según la normativa vigente, estar percibiendo al menos $60 diarios, en la práctica el ingreso sólo se ubica cerca de la mitad de ese monto. Entre aquellos que declararon percibir menos de $50 hay una gran cantidad de casos que no poseen ingreso alguno.
Es interesante señalar que aquellas personas que disponían de mayores niveles educativos tendieron a buscar desempeñarse o han trabajado en empleos que requieren mayor capacitación. Ahora bien, quienes poseen hasta secundaria completa han desarrollado una multiplicidad de labores y han debido adaptarse a la realización de cualquier tipo de trabajo. En 22 casos se confirmó que trabajan o han trabajado como vendedores ambulantes como única alternativa posible: "Siendo vendedor ambulante uno se tiene que humillar, pero hay que salir adelante" (42 años, secundaria incompleta).
Del total de las personas que perciben algún tipo de remuneración por su labor, 52% cobra por servicio u obra realizada, mientras que sólo una pequeña porción -24%- cobra salarios regulares. El hecho de percibir una remuneración "por servicio u obra realizada" o "por comisión o porcentaje" -76% de los que trabajan- ilustra sobre la informalidad e inestabilidad del mercado laboral en el cual se encuentran trabajando. De este modo, el ausentismo, así como las condiciones exógenas que impliquen la imposibilidad de trabajar un día, afectan de forma determinante su percepción de ingresos.
El 50% de las personas que trabajan se encuentran además en búsqueda activa de empleo. Si bien la cantidad de casos encuestados es mayor entre la franja etaria de los 50 a 60 años, proporcionalmente, se evidencia un marcado incremento en la cantidad de años que llevan buscando empleo, a diferencia de los grupos más jóvenes, lo que demuestra que la persistencia de empleos precarios y desempleo es mayor cuanto mayor es la edad de la persona. La edad se presenta, así, como una de las variables predominantes que condicionan el acceso a un empleo (ver el gráfico 3).

Respecto de las modalidades de búsqueda de empleo más efectivas, los resultados arrojaron que del grupo de personas que trabaja -40% del total de encuestados-, 80% ha conseguido el empleo por intermedio de familiares, conocidos, amigos, o algún tipo de contacto. Respecto de quienes buscan empleo, los resultados demostraron lo siguiente:
Clasificados (avisos de empresas en periódicos): en ocasiones mencionaron no disponer del dinero suficiente como para acceder a comprar los clasificados, o las distancias para dirigirse a las entrevistas son muy extensas, lo que, al no disponer de dinero para movilizarse, hace que no puedan presentarse, o se sientan cansados para hacer el viaje caminando, a sabiendas de que probablemente sean tantos los postulantes que el esfuerzo no se amerite: desaliento.
Dejandocv: es una práctica frecuente visitar negocios en búsqueda de carteles en vidrieras que ofrezcan alguna vacante o preguntar en aquellos locales a la calle que pudieran llegar a necesitar personal. Algunos casos, como las personas mayores de 50 años, reconocieron ofrecerse para trabajar "sin sueldo" para que les den la oportunidad de conocer su calidad y compromiso de trabajo: "Me he ofrecido, y si no vendía, que no me pagaran, así y todo ni me probaron" (63 años, terciario incompleto). Es preciso destacar que el hecho de dejar Hojas de Vida se torna una práctica compleja, dado que difícilmente disponen de sitios en los cuales confeccionar e imprimir los documentos.6
Internet: es un medio de búsqueda mencionado por algunos, principalmente por los más jóvenes, muchos de ellos en la Biblioteca del Congreso, donde el acceso es gratuito por un tiempo limitado.
Bolsas de empleo: pocos han mencionado este medio de búsqueda, por desconocer dónde anotarse. Sólo en algunos casos señalaron conocer las Bolsas de trabajo de los hogares, o de algún municipio.
Contactos: es la forma más frecuente, aunque más rápidamente agotable.
Al no poseer un domicilio fijo, o al estar alojados en un hogar, las posibilidades de que los tengan en cuenta son prácticamente nulas. Suele suceder que no poseen los medios para mantener un teléfono móvil, con lo cual el teléfono de contacto que pueden proporcionar a sus potenciales empleadores es el del hogar en el que están parando. Sin embargo, al omitir decir que están alojados en un hogar de tránsito, a fin de incrementar las probabilidades para que los tengan en cuenta, sucede que se encuentran en la encrucijada de no poder dejar un teléfono, lo que contribuye a que pierdan oportunidades laborales.
Lo mencionado hasta aquí es aun más grave, cuanto mayor es la vulnerabilidad a la que las personas están expuestas. Carecer de vínculos sociales restringe de un modo directo las posibilidades de acceso a oportunidades, siendo los "contactos" el medio más frecuentemente exitoso de acceso a los empleos, ya que la información de puestos vacantes brindada por familiares, amigos y conocidos es determinante, en ocasiones, para la obtención de un trabajo.
Muchos enfatizaron que si pudieran acceder a un empleo, mejorarían, además de su situación económica, su bienestar emocional, dado que, a modo de ejemplo, si contaran con el dinero para poder solventar un alquiler, podrían disponer de un espacio en el cual recibir a familiares o amigos: "Hasta iría a limpiar baños, para, aunque sea, poder invitar a tomar un café a un hijo, y no estar esperando por no tener un peso" (57 años, terciario completo).
La ausencia de trabajo afecta de manera determinante a las personas, lo que lleva en ocasiones a aislamiento social, depresión, ansiedad, conflictos familiares, abuso en el consumo de drogas, todo lo cual se profundiza cuando el desempleo es por tiempo prolongado. Esta situación afecta de manera determinante además al entorno familiar. Desvinculados de toda trama familiar, grupal o colectiva, descalificados social y políticamente, quienes no poseen empleos sufren las consecuencias desastrosas de la carencia de un sentido o proyecto colectivo, sumergiéndose cada vez más en la desocialización o desaparición social. Son múltiples los trastornos que puede llegar a generar la inactividad laboral. La pérdida de sentido de realización personal del trabajador en situación de desocupación impacta negativamente las relaciones sociales y familiares, además de implicar la pérdida del derecho a acceder a un sistema que garantice la protección social. Es común detectar adicciones, en ocasiones no declaradas por el entrevistado, que constituyen en muchos casos el reflejo, y no el motivo, de una situación de exclusión.
En la mayoría de los entrevistados las trayectorias laborales han sido dentro de la informalidad, y, por lo tanto, no exhiben contribuciones a la seguridad social. Al no hacerse los aportes previsionales, en el futuro enfrentarán dificultades para acceder a una jubilación. Se trata de una situación precaria que ocasiona ciertamente un conjunto de daños, en primer lugar, al trabajador (pecuniarios, psíquicos -afectivos y relacionales- mentales, sociales): su impacto se proyecta también a todo el orden económico-social, porque genera tanto evasión fiscal como previsional, instaura una competencia desleal de los patrones en materia de costos laborales con respecto a los demás empleadores que cumplen efectivamente sus obligaciones, y perjudica al resto de los asalariados, ya que, por falta de pago de las contribuciones pertinentes, provoca la pérdida de ingresos para las obras y servicios sociales y para la organización sindical.
En lo referente a la atención médica, todas las personas entrevistadas se atienden en hospitales públicos. Al ser una población vulnerable, expuesta a las condiciones climáticas, a los ambientes húmedos en invierno, a la dificultad de acceso a la higiene permanente, y también a cuadros depresivos, la utilización de los servicios de salud se hace más frecuente. Además, como al ingresar a los hogares se les realiza un chequeo médico, suele suceder que deban profundizar algún tipo de control. Muchos de los trastornos asociados al estado emocional tienen sus orígenes en los períodos que han estado en situación de calle. En el momento que se efectuaba a los residentes la pregunta referida ya sea a la percepción de aportes jubilatorios a lo largo de su vida, como a la cobertura de salud, lo que pudo percibirse fueron miradas de resignación que reflejaban -sin palabras- que ambas protecciones son "impensadas" para sus casos, como si se tratase de un beneficio al que sólo una población selecta pudiera acceder. Sólo algunos jubilados o quienes tramitaron pensiones manifestaron poseer cobertura de salud de la obra social de los jubilados (PAMI) o el Programa Federal de Salud (Profe). "Quiero volver a dignificarme y sentirme vivo y no tener que andar pidiendo o cuidando autos. Teniendo trabajo, todo viene: obra social, salud, etcétera" (48 años, secundaria completa). Asimismo, frente a las preguntas referidas al cobro de seguro de desempleo o indemnizaciones, las historias constatan que las trayectorias laborales han sido conformadas en general por empleos precarios, con lo cual estos beneficios también resultan inaccesibles.
Un caso para destacar, es el de un joven de 31 años que habiendo estudiado tres años en un terciario como técnico electrónico industrial, logró trabajar en importantes empresas nacionales, hasta que en su último empleo -rama textil-, reparando una máquina, perdió cuatro dedos de una mano. En este empleo no estaba registrado, y, por tanto, en el momento del relevamiento se encontraba en una instancia judicial desde hacía cinco años con la empresa, para que le pagaran su correspondiente indemnización por estar bajo una incapacidad laboral permanente -ILP-. El joven presentaba excelente disposición al trabajo; sin embargo, no lograba una inserción laboral por causa de su incapacidad, y además no disponía de algún tipo de retribución que le permitiera compensar su imposibilidad de trabajar como técnico.
Percepciones de los indigentes urbanos
El deseo de trabajar
Frente a este interrogante las respuestas en general combinan las necesidades de obtener un mínimo de satisfacción de sus condiciones de vida, a la vez que el sentimiento de realización personal, enfatizando en la inserción social y en la necesidad de satisfacer el sentido de pertenencia y dignidad; 23 respuestas mencionan de algún modo la palabra "dignidad":
- Para recuperar la dignidad. Teniendo empleo comés todos los días. (Entre 40 y 50 años, secundaria incompleta)
Para mantenernos activos, y aparte de ganar, aprender en el entorno laboral y social. Cuando no trabajamos estamos solos, como aislados, el trabajo dignifica, fortalece el espíritu. (Entre 40 y 50 años, secundaria incompleta)
Para independizarme desde el punto de vista habitacional (no vivir en hogares, sino en un hotel o un inmueble propio). Para tener buena cobertura médica. (Entre 50 y 60 años, universitario completo)
Quiero salir adelante, tener la oportunidad de demostrar mis condiciones, que estoy preparado y capacitado para conseguir trabajo. (Entre 30 y 40 años, terciario completo)
Por mis años, tengo la cultura del trabajo. Sin esto no podés realizar nada o casi nada. (Entre 50 y 60 años, secundaria incompleta)
Investigar el significado del término desempleo no acaba con analizar las tasas o estudiar el término desde una visión formal o descriptiva. Es necesario indagar acerca de los atributos que definen a quien "está desempleado", tratando de dilucidar el rol que el desempleo cumple en las vidas indagando no sólo desde la perspectiva económica, sino también por los factores psicológicos, entendiendo el trabajo como fuente de ingresos, pero además, como realización personal y social, ya que trabajar es un valor en sí mismo, una actividad noble y jerarquizadora (Bauman 2000). Algunos declaran: "No voy a casa de mis amigos a visitar por no poder decirles que vengan a la mía, no saben que vivo en un hogar"; "Está duro. Lo peor es la incertidumbre de no saber si ese día va a haber trabajo o no".7
¿Cuál es el empleo más valorado de su experiencia laboral?
En líneas generales, básicamente las respuestas se pueden agrupar en tres grandes grupos:8 aquellas referidas al conocimiento y aptitudes según el tipo de empleo; las que se refieren al clima, condiciones de trabajo, aprendizaje y responsabilidades; y aquellas que destacan las retribuciones monetarias.
- Porque es lo que sé hacer. (Entre 30 y 40 años, primaria completa)
Porque es lo que estudié. (Más de 65 años, universitario incompleto)
Porque es mi oficio. (Entre 30 y 40 años, primaria incompleta)
Porque me gusta. (Más de 65 años, universitario incompleto)
Porque trabajaba con buena gente. (Entre 50 y 60 años, secundaria incompleta)
Porque tenía responsabilidad. (Entre 40 y 50 años, secundaria incompleta)
Aprendí mucho. (Entre 50 y 60 años, secundaria incompleta) Por el desafío. (Entre 30 y 40 años, terciario completo)
Porque estaba en blanco. (Entre 40 y 50 años, secundaria incompleta)
Porque era estable, cobraba todos los meses y tenía jubilación. (Entre 50 y 60 años, secundaria incompleta)
Ganaba bien y podía alquilar. (Entre 40 y 50 años, primaria completa)
Por el sueldo. (Entre 40 y 50 años, primaria completa) Porque eran cumplidores. (Entre 40 y 50 años, primaria completa)
Si bien son muchos los casos en los cuales se mencionaba la estabilidad, así como el cumplimiento del pago y respeto por parte de los empleadores, lo mismo no sucedió con el registro. Escasos fueron los relatos que mencionaron la valoración de haber estado en un empleo registrado, lo que responde probable y básicamente a dos cuestiones: que en efecto son muy pocos los empleos que algunos han tenido "en blanco" o que esta lógica no forma parte de sus posibilidades reales.
Por otra parte, de un total de 110 personas que contestaron la pregunta acerca de la cantidad de horas que debería tener un empleo ideal, 40 respondieron 8 horas, 7 respuestas contenían la franja horaria entre 4 y 7 horas, mientras que entre 9 y 14 horas hubo 30 respuestas, aunque lo más destacado fue que 33 contestaron "las necesarias". Es decir, en estos casos la respuesta fue que trabajarían "las horas necesarias," o "las que sean", y cabe destacar que ésta no era una respuesta sugerida en el formulario. Esa situación pareciera ser reflejo de una desesperada necesidad de reinserción laboral, independientemente de su calidad. "Las que el cuerpo aguante" (entre 50 y 60 años, primaria completa).
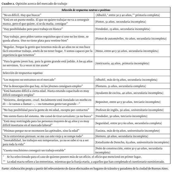
¿Cuál es su opinión sobre el mercado de trabajo en Argentina?
Las respuestas obtenidas oscilaron entre tres grandes concepciones: las que consideraban que era un buen momento de Argentina y que existían oportunidades (pocos casos), aquellas que entendían al mercado de trabajo como regular y las que informaron sobre un profundo sentimiento de desazón respecto de la situación, las más numerosas (ver el cuadro 2).
Existen infinidad de prejuicios que llevan a muchos de los empleadores a ser reticentes frente a la incorporación de trabajadores de mayor edad. Suelen relacionar a este grupo con una disminución en la cantidad y/o calidad del rendimiento, resistencia física, la rapidez en la ejecución, dificultades de adaptación, aprendizaje, así como mayor riesgo de accidentes y enfermedades.
La edad se constituye en el factor limitante que opera como "estigma" frente a la incorporación al mercado de trabajo. A modo de resumen: a) las ofertas de empleo disponibles no alcanzan a cubrir la demanda de trabajo real, b) la edad es determinante para acceder a un puesto de trabajo, c) los extranjeros están dispuestos a trabajar por salarios excesivamente bajos, d) no hay oportunidades para aquellos que tienen menos capacitación, y, e) sin contactos es imposible acceder a un empleo. Para aquellos que sufren prolongados períodos de desempleo, los desequilibrios emocionales son padecidos de forma más intensa, percibiendo degradada su capacidad de trabajo, lo que afecta habilidades, destrezas y conocimientos previamente adquiridos en sus experiencias de empleo anteriores.

En ocasiones la falta de empleo permanente lleva a que no se valore todo aquello asociado al mercado de trabajo (al punto de llegar ellos mismos a desvalorizar su propia experiencia laboral). Incluso, quienes padecen prolongados períodos de inactividad dejan de valorar la inserción laboral, al límite de llegar a rechazarla, como medio de fortalecimiento de su identidad, tal como se desprende de algunos testimonios. Este cambio se refleja en quienes necesitando trabajar, no buscan empleo o rechazan ofertas. Paradójicamente, en algunos casos de personas que deseaban trabajar, frente a la pregunta "¿Está buscando trabajo?", contestaron "No". Esta situación también pareciera ser el reflejo de los llamados "trabajadores desalentados", personas que se cansaron de las recurrentes frustraciones de buscar trabajo, con lo cual se resignan a una situación de precariedad que encuentran irreversible.
Conclusiones
Los resultados presentados en este documento dan indicios sobre los límites del crecimiento económico para la inclusión social de quienes se hallan en situación de extrema pobreza y residen en hogares de tránsito en la ciudad de Buenos Aires. Se pudo constatar que la gran mayoría de las personas entrevistadas no ha logrado consolidar un vínculo firme con el mercado de trabajo. Por el contrario, han prevalecido las trayectorias laborales caracterizadas por la alternancia entre precariedad ocupacional-desocupación, abierta-desaliento, y retiro de la actividad económica. Dentro de este segmento, un grupo especialmente afectado es el que está compuesto por aquellos con más de 50 años. En efecto, la información recabada muestra que las probabilidades de acceder a un empleo disminuyen sensiblemente con la edad a partir de ese umbral.
En términos generales, el acceso a un puesto de trabajo dentro de esta población ha estado muy vinculado a las redes de contactos que cada entrevistado logró conservar. En Argentina, que enfrenta un déficit de largo plazo en la creación de empleos de buena calidad, parece primar la lógica del "empleo por medio de contactos". Asimismo, el aislamiento residencial -y social-, sumado a la estigmatización social que conlleva residir en un hogar de tránsito, operan como fuertes condicionantes tanto para el acceso a un empleo como para disponer de información relacionada con la demanda de empleo. La evidencia obtenida acerca de las trayectorias laborales de los indigentes urbanos permite sostener que el desempleo de larga duración devino en desaliento como consecuencia del descreimiento respecto de la posibilidad de lograr una efectiva inserción laboral. En efecto, se constató que los prolongados períodos de desocupación y de búsquedas infructuosas contribuyeron a profundizar el desánimo y el abandono de la actividad económica. Los resultados del trabajo de campo permiten identificar la existencia de tres tipos de desaliento: a) quienes están desalentados porque no creen conseguir empleo; b) quienes no buscan activamente por miedo de encontrar y tener que cambiar la situación en la que están (temor al cambio); y c) aquellas personas que no buscan activamente por falta de medios económicos: dinero para viajar, disponibilidad de vestimenta adecuada, posibilidad de asearse, etcétera.
La incertidumbre económica en este grupo de población ha agravado el estado de dependencia en el que se encuentran respecto de la ayuda social, lo que tiene implicaciones no sólo en la dimensión laboral, sino también en las esferas familiar y social. Además, son conocidos sus efectos psicológicos negativos: depresión, adicciones, angustia, conductas maníacas, fobias, problemas de memoria, de atención y concentración, entre otros.
Respecto de los niveles educativos alcanzados, se pudo verificar que para este universo de la población tal atributo no constituye un determinante relevante para el acceso a un empleo. En línea con ello, la mayoría de los entrevistados coinciden en que capacitarse no va a mejorar sus posibilidades de obtener un empleo. Las oportunidades laborales para este segmento son pocas y precarias. Los tipos de empleo más frecuentes se concentran en changas o trabajos temporales, en condiciones de informalidad y mal pagos.
Para concluir, es preciso señalar que el núcleo del problema no pareciera ser la "empleabilidad" de estos sectores, por presentar insuficientes credenciales o aptitudes para la incorporación al mundo del trabajo. Más bien, el fenómeno obedecería principalmente a la insuficiencia crónica o estructural que enfrentan las economías en desarrollo para lograr despejar el excedente laboral acumulado. En este sentido, resulta cada vez más imperativo avanzar en sistemas de protección social no contributivos y universales que garanticen umbrales mínimos aceptables en las condiciones de vida de los excluidos. En la actualidad existen en Argentina dos grandes programas de protección social de carácter nacional: la Asignación Universal por Hijo (destinada a aquellos ocupados informales o desocupados con hijos menores de 18 años) y el Plan de Inclusión Previsional (cobertura previsional a varones mayores de 64 años y mujeres mayores de 59 años). Sin embargo, falta todavía contar con un programa que atienda integralmente al grupo de excluidos que no están en condiciones de jubilarse y que no tienen niños a cargo.
Comentarios
* El presente artículo forma parte de una investigación más amplia sobre "Inseguridad socio-económica de los hogares en Argentina", que cuenta con el apoyo de la Agencia Nacional de Promoción Científica y Tecnológica (ANPCyT) de Argentina a través de la financiación de un Proyecto de Investigación Científica y Tecnológica (PICT 0910-2011) y la Universidad de Buenos Aires.
1 El fenómeno de la indigencia se encuentra íntimamente relacionado con la situación de calle y/o el hecho de habitar en hogares/paradores en forma transitoria. No obstante, el eje central del presente documento no se centra en la situación habitacional de las personas, sino en su dimensión laboral.
2 Pueden consultarse Mallimaci (2005) y Forni, Siles y Barreiro (2004), entre otros.
3 Existen múltiples enfoques sobre esta temática; véanse, entre otros, Wacquant (2001), Cravino et al. (2002, 75) y Perelman (2011, 119).
4 Cabe distinguir, a diferencia del desempleo abierto, un tipo de desempleo de carácter friccional. En esta última categoría se encuentran comprendidos los trabajadores que rotan dejando su puesto de trabajo para buscar otro que se adecúe más a sus preferencias y expectativas, siendo éste un tipo de desempleo a corto plazo y que no constituye una problemática en sí desde la perspectiva de este estudio (Monza 2002).
5 El programa "ticket social" consiste en una chequera mensual que contiene tickets que pueden canjearse por alimentos y elementos de higiene y limpieza en supermercados y comercios adheridos, que son brindados a las personas que, teniendo domicilio real en la Ciudad Autónoma de Buenos Aires, conformen un hogar (persona que vive sola, o al grupo de personas, parientes o no, que conviven bajo un mismo techo, de acuerdo con el régimen familiar), que se encuentre en situación de inseguridad alimentaria y que, a la vez, sus ingresos estén hasta un 50% por encima de la línea de pobreza establecida para dicho hogar. "Ciudadanía porteña", por su parte, es un subsidio para familias en situación de calle, destinado a cubrir gastos de alojamiento. La prestación consiste en un subsidio mensual que mejora el ingreso del hogar. El monto del subsidio no es igual para todos los hogares porque se calcula considerando la composición socioeconómica del hogar y el valor de una canasta básica de alimentos.
6 Cabe destacar la labor de algunos talleres realizados en los hogares a este respecto, como se pudo evidenciar en uno de los dispositivos, cuando un grupo de voluntarias capacitaban a los residentes brindando un taller en el cual los instruían en el armado de sus curriculum vitae (cv). Los asistentes valoraban positivamente este tipo de capacitaciones, por permitirles contar con mejores recursos para las entrevistas laborales.
7 Testimonio de un hombre operado del corazón que todos los días se presentaba en una casa de fletes como peón (54 años, secundaria incompleta).
8 Se han seleccionado testimonios que condensan similares expresiones por parte de otros entrevistados.
Referencias
1. Atkinson, Anthony. 1998. Social Exclusion, Poverty and Unemployment. En Exclusion, Employment and Opportunity, eds. Anthony Atkinson y John Hills. Londres: Center for Analysis of Social Exclusion - London School of Economics, 9-24. [ Links ]
2. Bauman, Zygmunt. 2000. Trabajo, consumismo y nuevos pobres. Barcelona: Editorial Gedisa. [ Links ]
3. Castel, Robert. 1997. La metamorfosis de la cuestión social. Buenos Aires: Editorial Paidós. [ Links ]
4. Cravino, María Cristina, Marisa Fournier, María Rosa Neufeld y Daniela Soldano. 2002. Sociabilidad y micro-política en un barrio bajo planes. En Cuestión social y política social en el Gran Buenos Aires, ed. Luciano Andrenacci. Buenos Aires: Editorial Al Margen - Universidad Nacional General Sarmiento, 57-80. [ Links ]
5. Forni, Pablo, Marcelo Siles y Lucrecia Barreiro. 2004. ¿Qué es el capital social y cómo analizarlo en contextos de exclusión social y pobreza? Estudios de caso en Buenos Aires, Argentina. The Julian Samora Research Institute - Michigan State University. <http://www.jsri.msu.edu/upload/research-reports/rr35.pdf> [ Links ].
6. Gallie, Duncan y Serge Paugam. 2002. Social Precarity and Social Integration. Report for the European Commission Based on Eurobarometer 56.1. The European Opinion Research Group EEIG. < http://ec.europa.eu/public_opinion/archives/ebs/ebs_162_en.pdf> [ Links ].
7. Goldín, Adrián. 2008. Normas laborales y mercados de trabajo argentino: seguridad y flexibilidad. Santiago de Chile: Cepal. [ Links ]
8. Groisman, Fernando. 2008. Efectos distributivos durante la fase expansiva de Argentina (2002-2007). Revista de la Cepal 96: 201-220. [ Links ]
9. Groisman, Fernando. 2013. Gran Buenos Aires: polarización de ingresos, clase media e informalidad laboral, 1974-2010. Revista de la Cepal 109: 85-105. [ Links ]
10. Hussmanns, Ralf. 2004. Measuring the Informal Economy: From Employment in the Informal Sector to Informal Employment. Organización Internacional del Trabajo. <http://www.ilo.org/wcmsp5/groups/public/---dgreports/---integration/documents/publication/wcms_079142.pdf> [ Links ].
11. Mallimaci, Fortunato. 2005. Introducción a Los nuevos y viejos rostros de la marginalidad de Fortunato Mallimaci y Agustín Salvia. Buenos Aires: Editorial Biblos. [ Links ]
12. Monza, Alfredo. 2002. Los dilemas de la política de empleo en la coyuntura argentina actual. Buenos Aires: OSDE-CIEPP. [ Links ]
13. Organización Internacional del Trabajo (OIT). 1972. Employment, Income and Equality: A Strategy for Increasing Productive Employment in Kenya. International Labor Panos. <http://www.ilo.org/public/libdoc/ilo/1972/72B09_608_engl.pdf> [ Links ].
14. Organización Internacional del Trabajo (OIT). 2006. Tendencias mundiales del desempleo juvenil. <http://www.oit.org/wcmsp5/groups/public/---ed_emp/---emp_elm/---trends/documents/publication/wcm_041931.pdf> [ Links ].
15. Paugam, Serge. 1997. Les salariés de la precarieté, Les nouvelles formes de l'intégration professionnelle. París: PUF. [ Links ]
16. Perelman, Mariano. 2011. Pobreza urbana, desempleo y nuevos sentidos del (no) trabajo. Cirujas y movimientos de trabajadores desocupados de la ciudad de Buenos Aires. En Pobreza urbana en América Latina y el Caribe, comps. María Mercedes Di Virgilio, María Pía Otero y Paula Boniolo. Buenos Aires: Consejo Latinoamericano de Ciencias Sociales - Clacso, 105-134. [ Links ]
17. Room, Graham. 1995. Beyond the Threshold: The Measurement and Analysis of Social Exclusion. Bristol: Policy Press. [ Links ]
18. Sen, Amartya. 2000. Social Exclusion: Concept, Application and Scrutiny. Asian Development Bank. <http://housingforall.org/Social_exclusion.pdf> [ Links ].
19. Tsakloglou, Panos y Fotis Papadopoulos. 2002. Identifying Populations Groups at High Risk of Social Exclusion: Evidence from the ECHP. En Social Exclusion in European Welfare States, eds. Ruud Muffels, Panos Tsakloglou y David Mayes. Northampton: Edward Elgar Publishing Limited, 135-169. [ Links ]
20. Wacquant, Loïc. 2001. Parias urbanos. Marginalidad en la ciudad a comienzos del milenio. Buenos Aires: Manantial. [ Links ]
Fecha de recepción: 30 de octubre de 2012 Fecha de aceptación: 11 de abril de 2013 Fecha de modificación: 29 de abril de 2013












